Saldo blanco en México ante el paso de Norma, asegura AMLO
El presidente mexicano, Andrés Manuel López Obrador, reportó saldo blanco ante el paso de Norma, que se debilitó a tormenta ...
El presidente mexicano, Andrés Manuel López Obrador, reportó saldo blanco ante el paso de Norma, que se debilitó a tormenta ...
El Servicio Meteorológico Nacional (SMN) dio a conocer que debido a que el centro de Norma impactó al sur del poblado ...
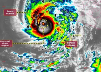
El huracán Norma se intensificó a categoría 3 en la escala Saffir-Simpson, informó el Servicio Meteorológico Nacional(SMN). En su pronóstico ...
El huracán Norma, de categoría 3, mantiene su trayectoria hacia el sur de Baja California Sur y Sinaloa, indicó esta ...